Clima

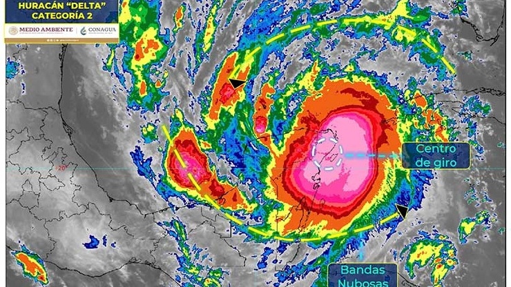
Huracán Delta toca tierra en Quintana Roo como categoría 2.

Delta ya pisó sueño mexicano.

El Huracán Delta tocó tierra este miércoles a las 5:30 horas en las inmediaciones de Puerto Morelos, Quintana Roo, degradado a categoría 2, dio a conocer el Servicio Meteorológico Nacional.

Delta se localiza a 35 km al sur de Cancún, Quintana Roo. Ocasionará lluvias intensas a torrenciales en la Península de Yucatán y originará vientos fuertes con rachas de 150 a 240 km/h.

Además, oleaje de 5 a 9 metros de altura y una marea de tormenta de 1 a 2 metros de altura en el norte de Quintana Roo y de 2 a 4 metros en las costas de Yucatán.

¿En qué estados habrá lluvias por Huracán Delta?

Ante la llegada del Huracán Delta a México, se prevén:

Lluvias intensas con lluvias puntuales torrenciales (150 a 250 mm) en:

Quintana Roo (norte)
Yucatán (oriente)
Lluvias muy fuertes con lluvias puntuales intensas (75 a 150 mm) en:

Campeche
Tabasco
Lluvias fuertes con lluvias puntuales muy fuertes (50 a 75 mm) en

Chiapas
Ante el paso del Huracán Delta, las autoridades recomiendan extremar precauciones a la población en general en las zonas de los estados mencionados por lluvias, viento y oleaje (incluyendo la navegación marítima).

Asimismo, atender las recomendaciones emitidas por las autoridades del Sistema Nacional de Protección Civil, en cada entidad.

Fuente: Redacción